Sunny Track House建物プラン有!!
全土地広々60坪以上!!
土地価格1230万円・建物Sunny Track House仕様2860万円(税込み)=4090万円税込み
支払い例:借入4090万円!50年ローン!金利0.825%月々83212円 ボーナス返済無し
【葛城市林堂のポイント】
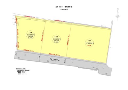
全3区画分譲地
土地60坪~
車4台以上可能
公園も多く、子育て世代にも住みやすい環境
(建物デザイン・家の性能)
企画住宅Sunny Track House仕様
→四角いデザインと自由な間取りが魅力の家。
建築家と創る家
家の性能/長期優良住宅
基礎/べた基礎
工法/木造軸組工法
断熱等級5(ZEH基準) 吹付断熱工法
耐震等級3、耐風等級2(許容応力計算)
20年の地盤保証・20年長期保証
住宅設備保証10年
今回の動画は、大人気の企画住宅 ZERO-CUBE の施工事例です!
シンプルなのにしっかり存在感のあるデザインと、暮らしをもっと楽しくする +FUNの魅力を、ギュッとまとめてご紹介しています!
さらに当社では、話題の コラボ企画住宅 に加えて、お客様の理想を実現する 注文住宅 も幅広くご提案しています!
「ちょっと気になる!」「まずは話だけ聞いてみたい!」という方もお気軽にご連絡ください!
※映像に誤り・問題がある場合はこちら
現地写真!!子育て環境の充実した分譲地です!!
【本分譲地に建築可能なプラン Sunny Track House 】
BEAMSの外遊びプロジェクト「HAPPY OUTSIDE BEAMS」の家
建物プラン例【Sunny Track House】建物面積102.67m2(31.05坪)3LDK
【本分譲地に建築可能なプラン グッドデザイン賞 規格住宅:ZERO-CUBE 】
ZERO-CUBE グッドデザイン賞受賞
真っ白な外観が印象的な、四角いフォルムのスタイリッシュな外観!
【規格住宅】ZERO-CUBE
建物面積98.53m2
建物価格1540万円
◆リビング
吹き抜けのあるリビングは、天井まで光が届く開放的な空間!家族が自然と集まる心地よさも魅力です!
【規格住宅】ZERO-CUBE
建物面積98.53m2
建物価格1540万円
※写真に誤り・問題がある場合はこちら
2400万円台以下
売主コメント
特徴ピックアップ
イベント情報
モデルハウス(事前に必ずお問い合わせください)
日程/公開中
時間/9:30~20:00
モデルハウス(事前に必ずお問い合わせください)
日程/公開中
時間/9:00~18:30
モデルハウスを実際に見て触れて、体感してみて下さい!
「建築家とみんなで創るカフェスタイルの家」
「建築家とみんなで創る注文住宅の家」モデルハウスございます。
ライフスタイルに合わせて間取りを打ち合わせしながら、
内装の仕様、家の性能、光熱費の話、資金計画など
お客様ごとの悩みや状況に合わせて、一つひとつ丁寧にお答えします。
≪性能の高さに自信あり!!≫
◆家の性能/標準で長期優良住宅
◆基礎/べた基礎
◆工法/木造軸組工法
白アリに強く腐らない木を使用
◆断熱等級5【ZEH基準】 吹付断熱工法
◆耐震等級3、耐風等級2(許容応力計算)
◆第三者機関を入れ、基礎配筋~工事完了までの重要な工程で5回検査を実施。
◆お引渡後、1年5年10年の3回は無料で定期点検を実施しています。
◆20年の地盤保証・20年建物初期保証
○●○だいたいこれぐらいの時間で○●○
・現地、モデルハウスご見学 (約30分~)
・ご来店、お家探しのご相談 (約40分~)
・資金計画、ローンのご相談 (約30分~)
◆ルーフホームの家造りについて◆
ルーフホームでは、常時数十区画の分譲地を販売しております。
また土地と建物をトータルで予算に合わせて打ち合わせしていきますのでご安心ください。
設計から施工、現場監督まで自社スタッフで手がける自社施工の会社です。
当社と直接契約を結んだ各分野の職人が施工する為、打ち合わせから工事がスムーズにやり取り可能。
【お問い合わせについて】
■オレンジの「資料請求(無料)」や赤の「見学予約(無料)」ボタンをクリック!!
通話料金無料【0120-624-615】からでもお問合せ可能です。
物件詳細情報
|
物件名
|
Sunny Track House建物プラン有! 全土地広々60坪以上!! | ||
|---|---|---|---|
|
価格
|
1230万円 (土地のみの価格です) [ □支払シミュレーション ] |
建ぺい率・容積率
|
建ペい率:60%、容積率:200% |
|
販売区画数
|
2区画 |
総区画数
|
3区画 |
|
土地面積
|
214.32m2~219.56m2(64.83坪~66.41坪) |
私道負担・道路
|
道路幅:3.4m~4m、アスファルト舗装、セットバック部分持分あり 1号地 13.21m2 2号地14.27m2 |
|
土地状況
|
更地 |
造成完了時期
|
- |
| 住所 |
奈良県葛城市林堂127-1 [ ■周辺環境 ] |
交通 |
近鉄御所線「近鉄新庄」歩15分
JR和歌山線「大和新庄」歩23分
近鉄御所線「忍海」歩19分
|
| 関連リンク |
【この会社の関連サイト】
|
||
| 担当者より |
担当者
ルーフホームでは自由設計のマイホームを納得いくまで設計させて頂きます!いくつかの施工例をご覧頂き、オリジナルの家を作っていきましょう!予算やローンの事なども、まずはルーフホームにご相談下さいね☆
|
【この物件について】
ルーフホームでは、常時数十区画の分譲地を販売しております。 土地のカタチに合わせ家づくりをしていきますので打ち合わせもスムーズです。スマホの方はPC版をクリックで、当社施工例をご覧いただけます!
|
|
| お問い合せ先 |
TEL:0120-624615 【通話料無料】 「SUUMO(スーモ)を見た」と問い合わせください |
免許番号:奈良県知事(4)第003990号 取引態様:<販売提携(代理)> 営業時間:9:00~20:00 / 定休日:水曜日 |
|
周辺環境
-
ショッピングセンターベビー・子供用品バースデイ新庄店:徒歩13分(1023m)
-
ショッピングセンターアベイル新庄店:徒歩14分(1062m)
-
ショッピングセンターファッションセンターしまむら新庄店:徒歩15分(1151m)
-
スーパーマルシゲ大和新庄店:徒歩16分(1211m)
-
スーパー万代新庄花内店:徒歩15分(1129m)
-
スーパーオークワ葛城忍海店:徒歩21分(1632m)
-
コンビニファミリーマート葛城南藤井店:徒歩11分(858m)
-
コンビニセブンイレブン葛城南花内店:徒歩13分(974m)
-
ドラッグストアキリン堂南花内店:徒歩13分(964m)
-
ドラッグストアディスカウントドラッグコスモス南花内店:徒歩14分(1079m)
-
ドラッグストアドラッグセイムス葛城北花内店:徒歩19分(1512m)
-
ホームセンタージョーシン新庄店:徒歩14分(1055m)
-
ホームセンターDCM新庄高田店:徒歩30分(2372m)
-
中学校葛城市立新庄中学校:徒歩15分(1192m)
-
小学校葛城市立忍海小学校:徒歩20分(1523m)
-
幼稚園・保育園浄正院保育園:徒歩6分(454m)
-
幼稚園・保育園華表保育園:徒歩13分(989m)
-
幼稚園・保育園葛城市立新庄小学校附属幼稚園:徒歩14分(1119m)
-
病院医療法人興生会吉本整形外科・外科病院:徒歩32分(2554m)
-
病院社会福祉法人恩賜財団済生会御所病院:徒歩37分(2903m)
-
郵便局忍海郵便局:徒歩16分(1280m)
-
郵便局新庄郵便局:徒歩15分(1168m)
-
役所葛城市役所新庄庁舎:徒歩15分(1151m)
-
図書館葛城市立新庄図書館:徒歩14分(1047m)
-
銀行南都銀行新庄支店:徒歩13分(1025m)
-
銀行奈良中央信用金庫新庄支店:徒歩15分(1180m)
-
警察署・交番高田警察署分庁舎御所警察庁舎:徒歩32分(2541m)
-
公園屋敷山公園:徒歩17分(1304m)
-
公園新町運動公園:徒歩26分(2018m)
-
公園御所中央公園:徒歩42分(3355m)
周辺施設
※地図の更新タイミングの関係で、物件情報が実際のものとは異なる場合や最新情報に更新されていない場合がございます。
※以下の南西諸島及び離島においては、表示される物件の位置が実際のものとは数百メートル程度ずれる場合がございます。
東京都:硫黄島・青ヶ島、沖縄県: 北大東島・南大東島・多良間島・水納島・与那国島・宮古諸島・石垣島・竹富島
見学可能な日程
日程/公開中
時間/9:30~20:00
モデルハウス(事前に必ずお問い合わせください)
日程/公開中
時間/9:00~18:30
モデルハウスを実際に見て触れて、体感してみて下さい!
「建築家とみんなで創るカフェスタイルの家」
「建築家とみんなで創る注文住宅の家」モデルハウスございます。
ライフスタイルに合わせて間取りを打ち合わせしながら、
内装の仕様、家の性能、光熱費の話、資金計画など
お客様ごとの悩みや状況に合わせて、一つひとつ丁寧にお答えします。
≪性能の高さに自信あり!!≫
◆家の性能/標準で長期優良住宅
◆基礎/べた基礎
◆工法/木造軸組工法
白アリに強く腐らない木を使用
◆断熱等級5【ZEH基準】 吹付断熱工法
◆耐震等級3、耐風等級2(許容応力計算)
◆第三者機関を入れ、基礎配筋~工事完了までの重要な工程で5回検査を実施。
◆お引渡後、1年5年10年の3回は無料で定期点検を実施しています。
◆20年の地盤保証・20年建物初期保証
○●○だいたいこれぐらいの時間で○●○
・現地、モデルハウスご見学 (約30分~)
・ご来店、お家探しのご相談 (約40分~)
・資金計画、ローンのご相談 (約30分~)
◆ルーフホームの家造りについて◆
ルーフホームでは、常時数十区画の分譲地を販売しております。
また土地と建物をトータルで予算に合わせて打ち合わせしていきますのでご安心ください。
設計から施工、現場監督まで自社スタッフで手がける自社施工の会社です。
当社と直接契約を結んだ各分野の職人が施工する為、打ち合わせから工事がスムーズにやり取り可能。
【お問い合わせについて】
■オレンジの「資料請求(無料)」や赤の「見学予約(無料)」ボタンをクリック!!
通話料金無料【0120-624-615】からでもお問合せ可能です。
Sunny Track House建物プラン有! 全土地広々60坪以上!! 【土地】
販売スケジュール |
- | イベント情報 |
モデルハウス(事前に必ずお問い合わせください) 日程/公開中 時間/9:30~20:00 モデルハウス(事前に必ずお問い合わせください) 日程/公開中 時間/9:00~18:30 モデルハウスを実際に見て触れて、体感してみて下さい! 「建築家とみんなで創るカフェスタイルの家」 「建築家とみんなで創る注文住宅の家」モデルハウスございます。 ライフスタイルに合わせて間取りを打ち合わせしながら、 内装の仕様、家の性能、光熱費の話、資金計画など お客様ごとの悩みや状況に合わせて、一つひとつ丁寧にお答えします。 ≪性能の高さに自信あり!!≫ ◆家の性能/標準で長期優良住宅 ◆基礎/べた基礎 ◆工法/木造軸組工法 白アリに強く腐らない木を使用 ◆断熱等級5【ZEH基準】 吹付断熱工法 ◆耐震等級3、耐風等級2(許容応力計算) ◆第三者機関を入れ、基礎配筋~工事完了までの重要な工程で5回検査を実施。 ◆お引渡後、1年5年10年の3回は無料で定期点検を実施しています。 ◆20年の地盤保証・20年建物初期保証 ○●○だいたいこれぐらいの時間で○●○ ・現地、モデルハウスご見学 (約30分~) ・ご来店、お家探しのご相談 (約40分~) ・資金計画、ローンのご相談 (約30分~) ◆ルーフホームの家造りについて◆ ルーフホームでは、常時数十区画の分譲地を販売しております。 また土地と建物をトータルで予算に合わせて打ち合わせしていきますのでご安心ください。 設計から施工、現場監督まで自社スタッフで手がける自社施工の会社です。 当社と直接契約を結んだ各分野の職人が施工する為、打ち合わせから工事がスムーズにやり取り可能。 【お問い合わせについて】 ■オレンジの「資料請求(無料)」や赤の「見学予約(無料)」ボタンをクリック!! 通話料金無料【0120-624-615】からでもお問合せ可能です。 |
|---|---|---|---|
所在地 |
奈良県葛城市林堂127-1 | 交通 |
近鉄御所線「近鉄新庄」歩15分 |
販売区画数 |
2区画 | 総区画数 |
3区画 |
価格 |
1230万円
(土地のみの価格です) [ □支払シミュレーション ] |
最多価格帯 |
- |
私道負担・道路 |
道路幅:3.4m~4m、アスファルト舗装、セットバック部分持分あり 1号地 13.21m2 2号地14.27m2 | 諸費用 |
- |
土地面積 |
214.32m2~219.56m2(64.83坪~66.41坪) | 建ぺい率・容積率 |
建ペい率:60%、容積率:200% |
土地状況 |
更地 | 造成完了時期 |
- |
土地の権利形態 |
所有権 | 建築条件 |
付 |
引き渡し時期 |
相談 | 地目 |
雑種地 |
用途地域 |
市街化調整区域 | その他制限事項 |
- |
その他概要・特記事項 |
担当者:小山 大介、設備:個別LPG オール電化、建築許可理由:開発許可等による分譲地、公営水道・公営下水道前面道路まで | ||
会社情報
| 会社概要 | <販売提携(代理)> |
||
|---|---|---|---|
| 問い合わせ先 |
TEL:0120-624615
【通話料無料】
「SUUMO(スーモ)を見た」と問い合わせください
|
||
情報提供日・更新日
| 情報提供日 | 2025年12月8日 | 次回更新日 | 情報提供より8日以内に更新 |
|---|---|---|---|
| 取引条件有効期限 | 2030年3月31日 | ||
74435654
資料請求・お問い合わせ
- 【1】入力
- 【2】確認
- 【3】完了
- ※価格は物件の代金総額を表示しており、消費税が課税される場合は税込み価格です。 (1000円未満は切り上げ。)
- ※写真に写っている、またはパース(絵)や間取り図に描かれている家具や車などは、特にコメントがない場合、販売価格に含まれません。
- ※敷地権利が定期借地権のものは価格に権利金を含みます。
- ※建築条件付き土地価格には、建物価格は含まれません。
- ※物件情報は、原則として情報提供日の2日前に最終確認した情報です。
- ※完成予想図はいずれも外構、植栽、外観等実際のものとは多少異なることがあります。
- ※モデルルーム・モデルハウス・展示場・ショールームの画像の場合、今回販売の物件と異なる場合があります。
- ※CG合成の画像の場合、実際とは多少異なる場合があります。
- ※物件特徴:販売戸数が複数の物件は、全ての住戸に該当しない項目もあります。
- ※完成後1年以上を経過した未入居物件が掲載される場合があります。ご了承ください。
- ※新着:物件情報が「SUUMO」に掲載された日から1週間表示されます。
- ※価格更新:物件価格が変更された日から1週間表示されます。
- ※販売予定物件はすべて、販売開始するまで契約または予約の申込みはできません。
- ※購入の前には物件内容や契約条件についてご自身で十分な確認をしていただくようにお願いいたします。
- ※建築条件土地の情報内に掲載されている、建物プラン例は、土地購入者の設計プランの参考の一例であって、プランの採用可否は任意です。
- ※土地(建築条件なし)で「建物プラン例」が表記してある時、そのプラン例は特定の建築請負会社によるもので、当該建築請負会社以外で建てた場合、同様のものが同価格で建てられるとは限りません。また建築請負会社を特定するものではありません。
- ※建築条件付き土地とは、その土地に建築する建物の建築請負契約が、一定期間内に成立することを条件として売買される土地のことをいいます。建築請負契約成立に向けて設計プランを協議するため、土地購入者が自己の希望する建物の設計協議をするために必要な相当の期間の交渉期間が設定され、その期間内で希望を満たすプランが実現できたかどうかにより結論を出します。なお、この期間は概ね3ヶ月程度とされています。納得のいくプランが出来ず、建築請負契約が成立しない場合、土地売買契約は白紙に戻り、土地契約にかかった代金(土地代金、手付金など)は名目のいかんに関わらず、全て返却されます。
- ※課税対象物件の「価格」や「費用等」は消費税込みの「総額表示」で統一しています。
- ※「本体価格」とは、課税対象物件においては「消費税を除いた建物価格」と「土地価格」の合計額を指します。
- ※課税対象物件は消費税込みの総額表示のため、不動産広告の販売価格には本体価格の金額は表示されておりません。
- ※不動産売買の媒介(仲介)・代理の際に不動産会社が受領できる報酬額には各々上限が定められています。
- ※売買物件の仲介手数料の法定上限額は「本体価格」を基準に算出します。
- ※取引にかかる費用:物件の契約手続き、決済、引き渡し時にかかる費用を表示しています。不動産会社によって表記有無が異なるため、ご自身で十分な確認をしていただくようにお願いいたします。



















