【建築条件なし】小針ライフベース好評分譲中
【商業・医療施設が充実し、暮らしやすい環境】
「JA新潟厚生連新潟医療センター」「済生会新潟病院」など医療機関が豊富
分譲地内にスーパーマルイが新規出店し、「イオン新潟青山店」「アピタ新潟西店」なども近く
【交通アクセスが良好】
JR「小針駅」「青山駅」、新潟交通「青山」バス停が徒歩圏内
新潟バイパス黒崎IC・北陸道新潟西ICへ車で6~7分
【子育てしやすい環境】
「小針中学校」に隣接し、学習塾も多数
遊具が充実し、地域で美しく保たれる「平島公園」が隣接し、子どもがのびのび遊べる
※写真に誤り・問題がある場合はこちら
特徴ピックアップ
物件詳細情報
|
物件名
|
小針ライフベース | ||
|---|---|---|---|
|
価格
|
1786万6000円~2422万円 [ □支払シミュレーション ] |
建ぺい率・容積率
|
建ペい率:60%・70%、容積率:200% |
|
販売区画数
|
35区画 |
総区画数
|
100区画 |
|
土地面積
|
137.36m2~200.19m2(41.55坪~60.55坪)(登記) |
私道負担・道路
|
道路幅:6m、アスファルト舗装 |
|
土地状況
|
更地 |
造成完了時期
|
- |
| 住所 |
新潟県新潟市西区小針1-5 [ ■周辺環境 ] |
交通 |
JR越後線「青山」歩17分
新潟交通「小針中学校前」歩2分
|
| 関連リンク |
【この会社の関連サイト】
|
||
| お問い合せ先 |
TEL:025-250-1730 「SUUMO(スーモ)を見た」と問い合わせください |
免許番号:新潟県知事(14)第001136号 取引態様:<事業主・売主> 営業時間:9:00~18:00 / 定休日:祝日・盆休・年末年始 |
|
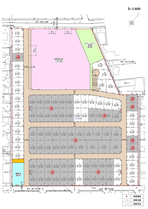
区画図
|
|
令和7年3月8日時点 |
周辺施設
※地図の更新タイミングの関係で、物件情報が実際のものとは異なる場合や最新情報に更新されていない場合がございます。
※以下の南西諸島及び離島においては、表示される物件の位置が実際のものとは数百メートル程度ずれる場合がございます。
東京都:硫黄島・青ヶ島、沖縄県: 北大東島・南大東島・多良間島・水納島・与那国島・宮古諸島・石垣島・竹富島
小針ライフベース 【土地】
販売スケジュール |
- | イベント情報 |
- |
|---|---|---|---|
所在地 |
新潟県新潟市西区小針1-5 | 交通 |
JR越後線「青山」歩17分 |
販売区画数 |
35区画 | 総区画数 |
100区画 |
価格 |
1786万6000円~2422万円
[ □支払シミュレーション ] |
最多価格帯 |
1800万円台・1700万円台・1900万円台(各17区画) |
私道負担・道路 |
道路幅:6m、アスファルト舗装 | 諸費用 |
- |
土地面積 |
137.36m2~200.19m2(41.55坪~60.55坪)(登記) | 建ぺい率・容積率 |
建ペい率:60%・70%、容積率:200% |
土地状況 |
更地 | 造成完了時期 |
- |
土地の権利形態 |
所有権 | 建築条件 |
- |
引き渡し時期 |
即引渡し可 | 地目 |
宅地 |
用途地域 |
2種中高 | その他制限事項 |
景観法による規制有 |
その他概要・特記事項 |
設備:公営水道、本下水、都市ガス、開発面積:25575.35m2 | ||
会社情報
| 会社概要 | <事業主・売主> |
||
|---|---|---|---|
| 問い合わせ先 |
TEL:025-250-1730
「SUUMO(スーモ)を見た」と問い合わせください
|
||
情報提供日・更新日
| 情報提供日 | 2025年12月15日 | 次回更新日 | 情報提供より8日以内に更新 |
|---|---|---|---|
| 取引条件有効期限 | 2026年12月31日 | ||
77081874
資料請求・お問い合わせ
- 【1】入力
- 【2】確認
- 【3】完了
- ※価格は物件の代金総額を表示しており、消費税が課税される場合は税込み価格です。 (1000円未満は切り上げ。)
- ※写真に写っている、またはパース(絵)や間取り図に描かれている家具や車などは、特にコメントがない場合、販売価格に含まれません。
- ※敷地権利が定期借地権のものは価格に権利金を含みます。
- ※建築条件付き土地価格には、建物価格は含まれません。
- ※物件情報は、原則として情報提供日の2日前に最終確認した情報です。
- ※完成予想図はいずれも外構、植栽、外観等実際のものとは多少異なることがあります。
- ※モデルルーム・モデルハウス・展示場・ショールームの画像の場合、今回販売の物件と異なる場合があります。
- ※CG合成の画像の場合、実際とは多少異なる場合があります。
- ※物件特徴:販売戸数が複数の物件は、全ての住戸に該当しない項目もあります。
- ※完成後1年以上を経過した未入居物件が掲載される場合があります。ご了承ください。
- ※新着:物件情報が「SUUMO」に掲載された日から1週間表示されます。
- ※価格更新:物件価格が変更された日から1週間表示されます。
- ※販売予定物件はすべて、販売開始するまで契約または予約の申込みはできません。
- ※購入の前には物件内容や契約条件についてご自身で十分な確認をしていただくようにお願いいたします。
- ※建築条件土地の情報内に掲載されている、建物プラン例は、土地購入者の設計プランの参考の一例であって、プランの採用可否は任意です。
- ※土地(建築条件なし)で「建物プラン例」が表記してある時、そのプラン例は特定の建築請負会社によるもので、当該建築請負会社以外で建てた場合、同様のものが同価格で建てられるとは限りません。また建築請負会社を特定するものではありません。
- ※建築条件付き土地とは、その土地に建築する建物の建築請負契約が、一定期間内に成立することを条件として売買される土地のことをいいます。建築請負契約成立に向けて設計プランを協議するため、土地購入者が自己の希望する建物の設計協議をするために必要な相当の期間の交渉期間が設定され、その期間内で希望を満たすプランが実現できたかどうかにより結論を出します。なお、この期間は概ね3ヶ月程度とされています。納得のいくプランが出来ず、建築請負契約が成立しない場合、土地売買契約は白紙に戻り、土地契約にかかった代金(土地代金、手付金など)は名目のいかんに関わらず、全て返却されます。
- ※課税対象物件の「価格」や「費用等」は消費税込みの「総額表示」で統一しています。
- ※「本体価格」とは、課税対象物件においては「消費税を除いた建物価格」と「土地価格」の合計額を指します。
- ※課税対象物件は消費税込みの総額表示のため、不動産広告の販売価格には本体価格の金額は表示されておりません。
- ※不動産売買の媒介(仲介)・代理の際に不動産会社が受領できる報酬額には各々上限が定められています。
- ※売買物件の仲介手数料の法定上限額は「本体価格」を基準に算出します。
- ※取引にかかる費用:物件の契約手続き、決済、引き渡し時にかかる費用を表示しています。不動産会社によって表記有無が異なるため、ご自身で十分な確認をしていただくようにお願いいたします。


